workshop Vincente Masip 1475 - 1545 Valence, Espagne ' Holly Family ' vers 1510 - 1520
* Vicente Masip dit « Masip l'Ancien », est un peintre espagnol de la Renaissance, né à Andilla vers 1475, et mort à Valence en 1545.
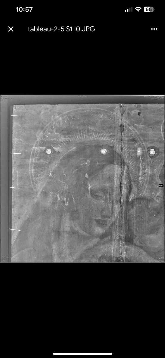
** l oeuvre est réalisée a la tempera sur un panneau de peuplier réalisé vers 1510 - 1520 , on sent l influence de Leonard de Vinci dans le corps de l enfant Jesus contorsionne et le visage doux de la ' Madonne ' avec le gout hispanesque des couleurs vives ce style apparaît chez les disciples de Masip apres le retour En 1516 de Fernando Yáñez de la Almedina et de Hernando de los Llanos qui arrivent à Valence. Ils ont été formés en Italie dans l'entourage de Léonard de Vinci. Vicente Masip a alors atteint son langage pictural définitif dans le style du Quattrocento. ** Je joint a l oeuvre des radios aux rayons X de son état lors de l acquisition , l oeuvre a été par la suite restaurée par ' Art Gate '1180 Bruxelles , le restaurateur de De Jonckheere . ***La photo de garde est celle lorsque j ai déposé l oeuvre en restauration vous aurez une ( des ) autres photos ou la restauration de l oeuvre est terminée **** l oeuvre sera visible a partir du 29 janvier chez ' Sablon Antiques Center ' 39 Place du Grand Sablon , 1000 Bruxelles ***** je n ai pas de cadre car je laisse cela au gout du client .
Epoque : 16ème siècle
Style : Haute époque-Renaissance-Louis XIII
Etat : Parfait état
Matière : Huile sur bois
Longueur : 58
Hauteur : 74
Référence (ID) : 1695754
Disponibilité : En stock

































